Properties

SOLD

Chippewa County, MN

Owner: Greenfield Harvest, LLC

Legal Description: Chippewa Co. Parcel:# 11-006-2101; Exact Legal description to govern to be provided by Seller @ Closing. Tracts are located in Section 6, T117N, R37W; Rheiderland Township; (146 Deeded Acres/130.94 Tillable Acres).

2025 Real Estate Taxes: $10,898; 2025 Proposed Real Estate Taxes: $7670 & $184.20 Special Assessment (1-Time Ditch & Recycling Fee).
County Assessor's Estimated Market Value is $1,144.500.

Lease: The Purchase of this Land is subject to the existing Lease of record for the 2026 Crop Year Only.

Sale Price: $10,000/Tillable Acre.

Comments: Tile Maps available upon request.

Possession: After Closing.

SOLD

Redwood County, MN

Owner: Pilatus Land, LLC

Legal Description: Redwood Co. Parcel's:# 62-03303020; Exact Legal description to govern to be provided by Seller @ Closing. Tracts are located in Section 33, T112N, R35W; Paxton Township; (200.30 Deeded Acres/198.17 Tillable Acres).

2025 Real Estate Taxes: $20,786

Lease: (No Lease for Year 2026 & beyond).

Sale Price: $10,000/Tillable Acre.

Comments: Tile Maps available upon request.

Possession: After Closing.

SOLD

Redwood County, MN

Owner: Pilatus Land, LLC

Legal Description: Redwood Co. Parcel's:# 52-028-3060; 52-028-4020; 52-028; 52-028-4060; Exact Legal description to govern to be provided by Seller @ Closing. Tracts are located in Section 28, T114N, R36W; Delhi Township; (219.85 Deeded Acres/219.47 Tillable Acres).

2025 Real Estate Taxes: $10,898; 2025 Proposed Real Estate Taxes: $4,290 & $218.40 Special Assessment (1-Time Ditch & Recycling Fee).
County Assessor's Estimated Market Value is $2,288,100 or $10,426/Tillable Acre.

Lease: The Purchase of this Land is subject to the existing Lease of record for the 2025 Crop Year Only (No Lease for Year 2026 & beyond). ($250/Tillable Acre-paid 2025).

Sale Price: $10,500/Tillable Acre.

Comments: Tile Maps available upon request.

Possession: After Closing.

FARMLAND - SOLD

Renville County, MN

Owner: Pilatus Land, LLC

Legal Description: Renville Co. Parcel's:# 21-00800-00; Exact Legal description to govern to be provided by Seller @ Closing.

Location: Tract is located in the S 1/2 SE 1/4 of Section 31, T114N, R33W; Palmyra Township.

Acreage: 16080.36 Deeded Acres/80.36 Tillable Acres

2024 Real Estate Taxes: $4,096; 2025 Proposed Real Estate Taxes: $4,290 & No Special Assessments.

Lease: The Purchase of this Land is subject to the existing Lease of record for the 2025 Crop Year Only. ($250/Tillable Acre).

Sale Price: $12,000/Tillable Acre.

Comments: Tile Maps available upon request.

Possession: After Closing.

SOLD

Hennepin County, Dayton, MN

Owner: Stern

Legal Description: Hennepin Co. Parcel #: 32-120-22-32-0011; Exact Legal description to govern to be provided by Seller.

Location: Property is North I-94, off the new Dayton Parkway Exit.

Acreage: 1.5529± Deeded Acres/67,162± Sq.Ft.

*Land has future Development Potential!

Sale Price: $200,000; Open to Offer!

2023 Proposed Real Estate Taxes: $98.53/Excluding Special Assessments (AgHomestead).

Zoning: Ag/Guided for Mixed Use!

Lease: N/A

Comments: Would be a great location for Commercial/Shopping & Apartments!

Terms: Cash.

Possession: Immediately upon Closing.

SOLD

Chippewa County, MN

Owner: Greenfield Harvest, LLC

Legal Description:

  • Chippewa Co. Parcel's:# 05-010-2000; Exact Legal description to govern to be provided by Seller@ Closing. Tract is located in the NW 1/4 of Section 10, T118N, R39W; Havelock Township; (160 Deeded Acres/157.10 Tillable Acres).
  • Chippewa County Parcel# 05-032-1000; Exact Legal Description to govern to be provided by Seller@ losing. Tract is located in the NE 1/4 of Section 32, T118N, R39W; Havelock Township; (160 Deeded Acres/155.35 Tillable Acres).
    Location: Property is located NW of Clara City, MN.
    Acreage:(2) Tracts contain a Total of 320 Deeded Acres/312.45 Tillable Acres.
    Zoned:Agricultural.
    Sale Price:$11,000/Tillable Acre, based on 312.45 Tillable Acres.
    Terms:Cash.
    2024 Real Estate Taxes:Parcel# 05-010-2000 - $7,831.92 plus a Special Assessment of $1,424.08 (Additional Pending);
  • Parcel# 05-010-2000- $8,594.00 (Includes a yearly $26.90 Solid Waste Assessment)

Leased: The Purchase of this Land is subject to the existing Lease of record for the 2024 & 2025 Crop Years Only.

Comments: Tile Maps available upon request.

Possession: After Closing.

SOLD (in 2 days)

Farmland Renville County, MN

Owner: Greenfield Harvest, LLC

Legal Description: Renville Co. Parcel# 01-00540-00; Exact Legal description to govern to be provided by Seller@ Closing. Tract located in the E 1/2 NE 1/4 of Section 25, T113N, R33W; Bandon Township.

Location: Property is located NW of Fairfax, MN on the west side of 680th Avenue.

Acreage: 74.66+/- Deeded Acres/71.03+/- Tillable Acres.

Sale Price:$12,000/Tillable Acre, based on 71.03 Tillable Acres.

2023 Real Estate Taxes: $ 3,168.00 (AG RI-NON-Homestead).

Zoning: Agricultural.

Lease: The Purchase of this Land is subject to the existing Lease of record for the 2024 & 2025 Crop Years Only.

Comments: Tile Maps available upon request.

Terms: Cash.

Possession: After Closing.

SOLD

Kandiyohi County, Prinsburg, MN

Description:Body shop building and property is well maintained. This building was built new for owner at business startup.

List Price: $540,000

Property Type: Commercial

Property Style: Industrial/Warehouse

Year Built: 1986

Air Conditioning: Central Air, Wall Unit(s)

Heating System: Forced Air

Foundation Size: 2,688 sqft

Address: 302 Pleasant Ave Avenue

City: Prinsburgs

MLS#: 6368900

Full Details

SOLD

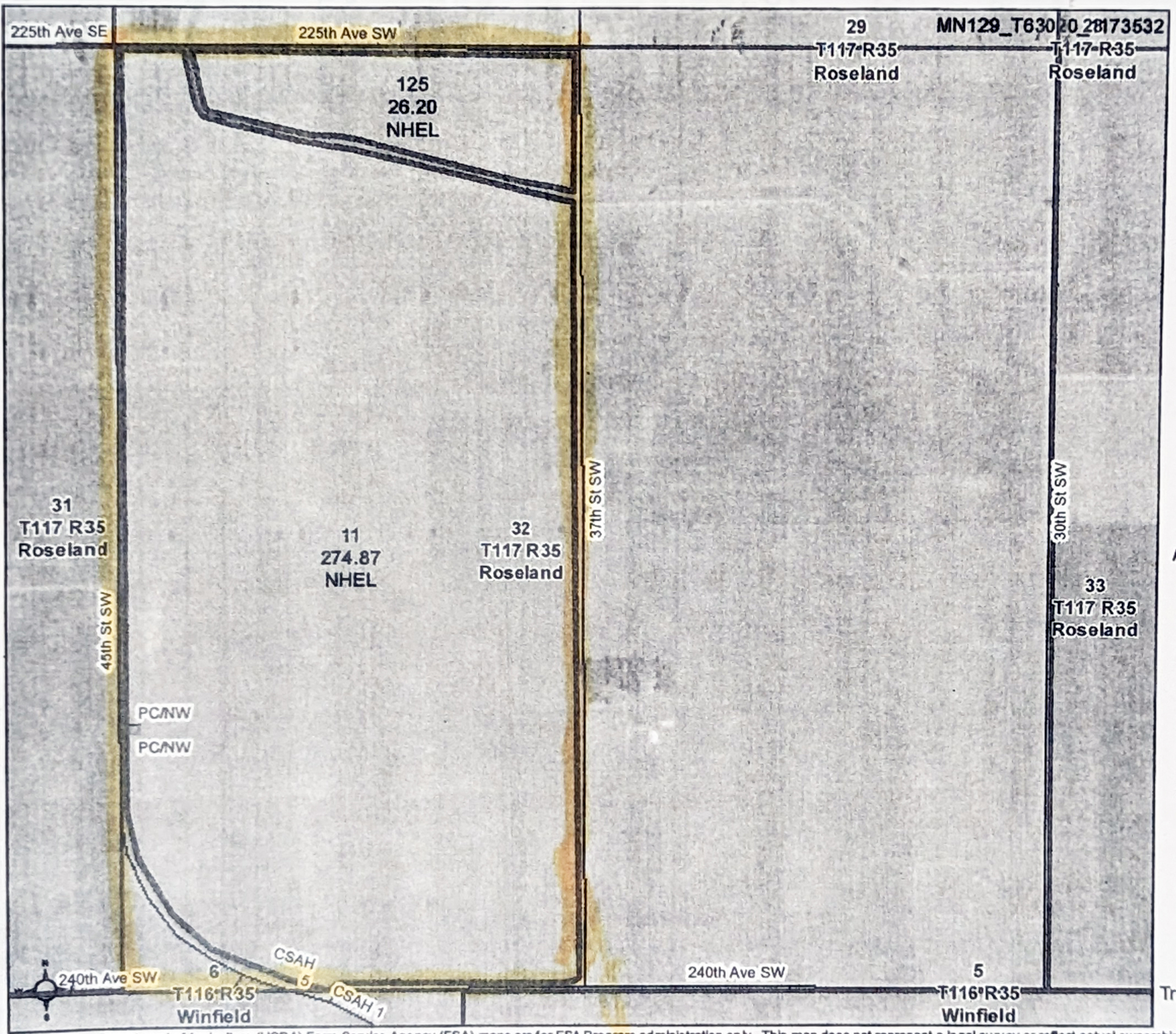
Kandiyohi County, Roseland Township, MN

Owner: Win-Ro Acres LLP

Legal Description: Kandiyohi Co. Parcel #: 29-032-0020; Exact Legal description to govern to be provided by Seller @ Closing. Tract located in the W 1⁄2 of Section 32, T117N, R35W; Roseland Township

Location: Property is Property is located 2 miles South of Roseland, MN & State Highway #7 on the east side of Co. Highway #5.

Acreage: 320± Deeded Acres/303± Tillable Acres. Zoned: Agricultural.

Sale Price: $13,850/Tillable Acre, based on 303 Tillable Acre or $13,115/Deeded Acre, based on 320 Deeded Acres. Terms: Cash

2024 Proposed Real Estate Taxes: Proposed - $19,080.00 (AGRI-NON-Homestead).

Lease: The Purchased of this Land is subject to the existing Lease of record for the 2024 Crop Year Only; The Buyer will receive the rent for 2024 in the amount of $310/Tillable Acre based upon 300.44 Tillable acres, with a Spring, 2024 Closing; And The Owners will retain the rent if the Closing thereafter.

Comments: Tile Maps available upon Request

Possession: After Closing.

SOLD

Farmland Renville County, MN

Owner: Baumgardt Family

Legal Description: Renville Co. Parcel #: 14-01650-00; Exact Legal description to govern to be provided by Seller @ Closing. Tract located in Section 23, T115N, R32W; Hector Township.

Location: Property is located 2 miles East of Hector on State Highway #212 and 1 Mile North on County Road #22.

Acreage: 40± Deeded Acres/39.81± Tillable Acres.

Sale Price: $13,500/Tillable Acre.

2019 Real Estate Taxes: $988.00 (AGRI-Homestead).

Zoning: Ag

Lease: None/Buyer will have posession @ Closing.

Comments: Tile Maps available upon request.

Terms: Cash.

Possession: Immediately upon Closing.

SOLD

Farmland Sibley County, MN

Owner: Ludowese Family

Legal Description: Sibley Co. Parcel #: 21-0503-00; Exact Legal description to govern to be provided by Seller @ Closing. Tract located in Section 5, T112N, R31W; Severence Township.

Location: Property is located 2 miles West of Gibbon on State Highway #19 and County Road #22.

Acreage: 178.94± Deeded Acres/171.98± Tillable Acres.

Sale Price: $9,500/Deeded Acre.

2019 Real Estate Taxes: $7,552.00 (RES Non-Homestead).

Zoning: Ag

Lease: Leased for the 2022 Crop Year at $250/Tillable Acre; Rent and RE Taxes to be pro-rated to the date of closing or a Fall Closing is possible with the Seller paying all the RE Taxes and retaining all the Rent.

Comments: Tile Maps available upon request.

Terms: Cash.

Possession: Immediately upon Closing.

WE NEED LAND... WE HAVE BUYERS!